знакомый разобрал генератор на работе короче цитирую его слова:
"Подключаем + к выходу генератора не включаем зажигание идёт ток в обмотке возбуждения" у кого нибудь такое было?
куплю генератор на линкольн марк viii
- Николай Пименов
- Ветеран клуба АмАвто
- Сообщения: 28351
- Зарегистрирован: 20 окт 2007, 23:03
- Откуда: Самара
Re: куплю генератор на линкольн марк viii
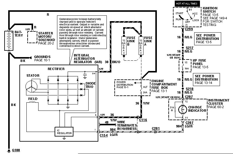
Схема вот, думайте. Такое запросто может быть, если диод пробит силовой.
Re: куплю генератор на линкольн марк viii
ок, спасибо. будем думать.


